Инструкция взаимодействия в системе электронного документооборота
Первоначальная загрузка объекта на экспертизу
Шаг 1. Регистрация в системе.
Для начала необходимо пройти на сайт https://portal.rsexpertiza.ru и пройти короткую регистрацию
Шаг 2. Создание объекта.
После регистрации в стартовом окне выбрать "Подать документы на негосударственную экспертизу" и заполнить информацию об объекте.
Шаг 3. Загрузка документации
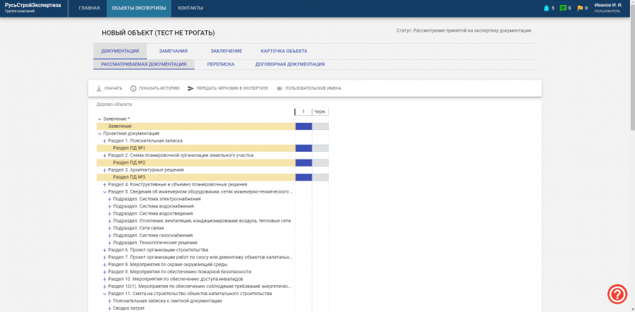
Далее в разделе "Документация" начинается загрузка документации. Рядом с необходимым разделом нажать "+". Создается новая строка. После создания строки нажать на серый прямоугольник.
Откроется окно загрузки документации. В этом окне можно либо перенести необходимый документ или выбрать его из папки. После загрузки это окно можно закрыть и серый прямоугольник станет синим.
| Внимание! Загрузка нескольких файлов в одну строку недопустимо! При необходимости, можно создавать несколько строк на один раздел или заархивировать файлы и загрузить архив. Не обращайте внимания, если система будет выводить желтые предупреждения по поводу несоответствия документации постановлению. Это нормально. |
Шаг 4. Передача объекта в экспертизу
После загрузки документации в правом верхнем углу необходимо нажать "Изменить статус" -> "Передать в экспертизу".
При успешном процессе, статус поменяется на "Проверка комплектности документации".
Это означает, что передача документации прошла успешно и мы все увидели.
Как отвечать на замечания в системе электронного документооборота
При выставлении замечаний, Вам на почту приходит уведомление.
После подготовки ответов на замечания, их нужно загрузить на портал.
Шаг 1. Открыть объект в СЭДе
Для начала необходимо перейти в раздел "Объекты экспертизы" в верхнем меню и выбрать там нужный объект.
Далее перейти в раздел "Документация"
Система должна иметь следующий вид
Шаг 2. Создание строк для ответов
Для загрузки ответов необходимо рядом с нужным разделом нажать "+". Создастся новая строка с порядковым номером альбома.
Шаг 3. Переименовать созданную строку
Необходимо переименовать строку, чтобы никто не запутался. Это можно сделать двойным кликом левой кнопки мыши на созданную строку. Далее переименовываем строку и нажимаем Enter.
Например: АР Ответы от 25.11.2020
Шаг 4. Загрузка ответов
Далее в столбце "Черн." рядом с созданной строкой нажимаем на серый прямоугольник.
Откроется окно загрузки, куда можно будет загрузить ответы по необходимому разделу.
| Важно! Обращаем Ваше внимание, что загрузка несколько документов в одну папку (строку) раздела не допускается. Если Вы хотите подгрузить несколько файлов, можете заархивировать файлы и подгрузить из в одну строку. |
Дождитесь загрузки. После того, как файл загрузится, прямоугольник, на который Вы нажимали должен стать синим.
| Внимание! Если появляются предупреждения по поводу несоблюдения требованиям (желтые) - это нормально. Система пропустит. |
Шаг 5. Передача ответов на экспертизу
После загрузки всех ответов, необходимо нажать на кнопку "Передать черновик в экспертизу", которая расположена чуть выше.
После передачи черновика на экспертизу обновите страницу. У столбика должен появиться новый индекс. Если он появился, значит ответы успешно загружены и мы их увидели
Более подробная инструкция находится здесь:
